Major Construction and Renewal Projects
Learn about major construction and renewal projects in our city.
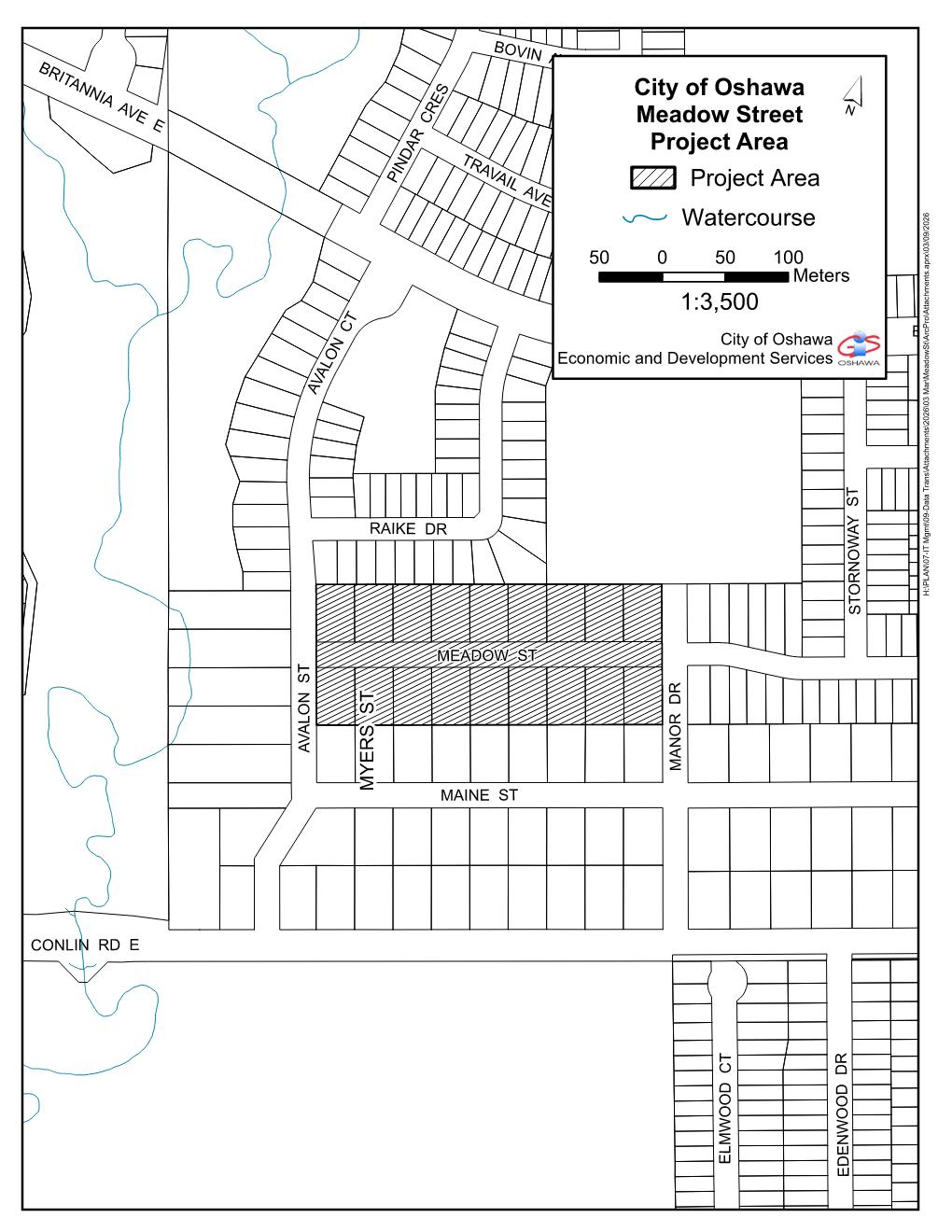
Meadow Street reconstruction
The City of Oshawa (City), in partnership with The Regional Municipality of Durham (Region), is undertaking the reconstruction and urbanization of Meadow Street between Avalon Street and Manor Drive.
The design for the Meadow St. is in its final stages and construction is anticipated to start in the spring/summer of 2026, and be completed by December 2026.

Proposed scope of work
- Installation of sanitary sewers and individual service connections to the property line
- Installation of storm sewers
- Installation of foundation drain collector sewers and individual service connections to the property line
- Reconstruction of the road to an urban cross section. This includes adjusting the road grades, adding curbs and regrading the boulevards to eliminate ditching
Contacts:
Steven Sharp, P.Eng.
Senior Municipal Design Engineer
City of Oshawa
Phone: 905-436-3311 ext. 2462
Email: ssharp@oshawa.ca
Alex Doran, P.Eng.
Project Engineer
The Regional Municipality of Durham
Phone: 905-669-7711
Email: alex.doran@durham.ca
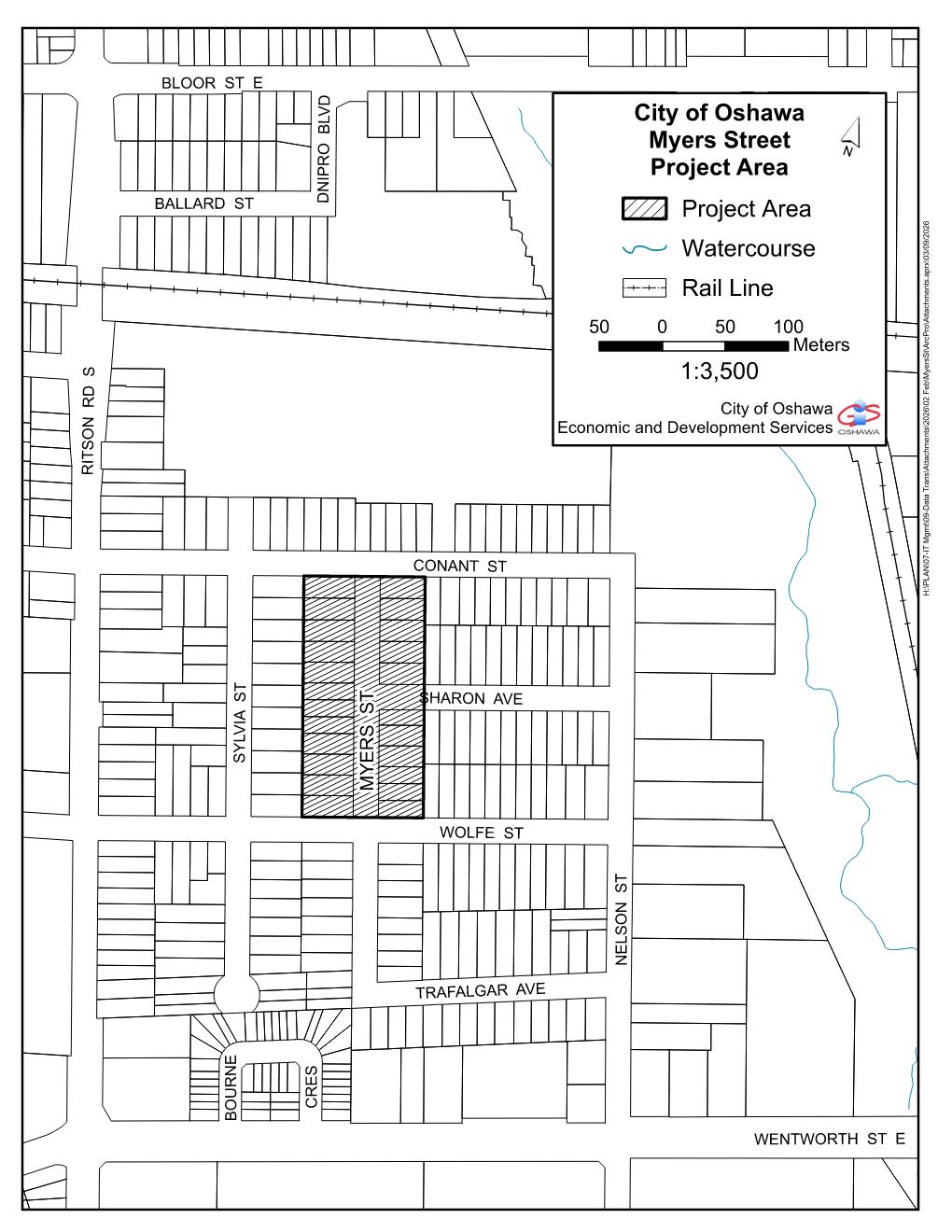
Myers Street reconstruction
The City of Oshawa, in partnership with The Regional Municipality of Durham, is undertaking the reconstruction and urbanization of Myers St. between Conant St. and Wolfe St.
The design for the Myers St. is in its final stages and construction is anticipated to start in the spring/summer of 2026, and be completed by December 2026

Proposed scope of work
- Replacement of watermains and individual water service connections to the property line
- Replacement of sanitary sewers and individual service connections to the property line
- Replacement of storm sewers
- Reconstruction of the road to an urban cross section. This includes adjusting the road grades, adding curbs and regrading the boulevards to eliminate ditching
- Removal and replacement of sidewalks on both sides of the road
Contacts
Steven Sharp, P.Eng.
Senior Municipal Design Engineer
City of Oshawa
Phone: 905-436-3311 ext. 2462
Email: ssharp@oshawa.ca
Alex Doran, P.Eng.
Project Engineer
The Regional Municipality of Durham
Phone: 905-669-7711
Email: alex.doran@durham.ca
Thornton Road North Reconstruction

The City of Oshawa, in partnership with The Regional Municipality of Durham, is undertaking the reconstruction of Thornton Road North from Conlin Road East to 600m south of Winchester Road (south of Nesbitt Bridge). The work involves the reconstruction of Thornton Road North to a two-lane road with bike lakes, a multi-use path on the east side, and installation of new storm sewers and Regional services such as sanitary sewers water main systems.
The City’s contractor, GIP paving Inc., is planning to begin construction mid-April 2026, and the project is planned to be completed by December 2027.
Full road closures will be in effect during construction and Thornton Road North will be closed from Conlin Road West at the south limit to 600m south of Winchester Road at the north limit. No general traffic will be permitted on the closed portion of Thornton Road North at any time. Residents whose driveways connect directly to Thornton Road North will be allowed local access where required and where safe.
During Phase 1 of construction - residents on Roselawn Avenue and Bickle Drive will have local access from Thornton Road North via Winchester Road only. During Phase 2 of construction, at a later date, access to Roselawn Avenue and Bickle Drive will be from Thornton Road North via Conlin Road East only.
Should you have any questions or concerns about the project, please contact Service Oshawa at (905) 436‑3311 or email service@oshawa.ca. Any after-hour emergencies can also be directed to Service Oshawa.
Conlin Rd. E. Reconstruction & Widening and Grandview St. N. Roundabout Construction

The City of Oshawa awarded Contract No. O 25-02B to Graham Bros Construction Ltd. in July 2025. The Work involves the reconstruction and widening of Conlin Rd. E. from east of Harmony Rd. N. to Kurelo Dr. as well as the construction of a new roundabout at Grandview St. N. and Conlin Rd. E. The work will also include a new storm sewer along Conlin Rd. E., a new multi-use pathway on the south side of Conlin Rd. E., from Coppermine St. to Kurelo Dr., a new sidewalk on the north side of Conlin Rd. E., from Harmony Rd. N. to west of Kurelo Dr. There will also be work on Regional infrastructure including new watermain near Harmony Rd. N., Coppermine St. and Cayenne St. and new sanitary sewer at Coppermine St.
The project started in August 2025 and will take place over two years and is planned to be completed by December 2026. The Grandview St. N. roundabout construction is planned to be completed in summer 2026, while the work on Conlin Rd. E. between Harmony Rd. N. and Grandview St. N. is planned to be completed by December 2026.
Unfavourable weather conditions and unforeseen circumstances may impact the work schedule.
Full road closures will be in effect during construction. Please exercise caution around the construction site.
Should you have any questions or concerns about the project, please contact Service Oshawa at (905) 436‑3311 or email service@oshawa.ca. Any after hours’ emergencies can also be directed to Service Oshawa.

Detailed design for Stevenson Rd. N. from Conlin Rd. to Taunton Rd. W.
The City of Oshawa has retained GFT Inc. to complete the detailed design of Stevenson Rd. N., from Conlin Rd. to Taunton Rd. W. The design includes, but is not limited to, full road reconstruction, new curb and gutter, a multiuse pathway on the east side, intersection improvements, drainage upgrades, and utility coordination.
The City of Oshawa has partnered with the Region of Durham on this design. The Region’s scope includes, but is not limited to, the design of new watermain and sanitary sewer infrastructure within the project limits. Additionally, the Region is planning to install a 900 mm concrete pressure pipe feedermain along Conlin Rd., from Stevenson Rd. to Walreg Dr., with some of the work extending onto Stevenson Rd. N.
The City and Region are coordinating both projects to minimize disruptions and ensure efficient delivery of infrastructure upgrades.
Public Consultation
The public consultation for this project has closed.
Related Documents
View the Stevenson Rd. N. virtual exhibit.
Contacts
Evan Woodcock
Project Manager
City of Oshawa
Phone: 905-436-3311 Ext. 2377
Email: ewoodcock@oshawa.ca
Catherine Voytenkov
Vice President | Roads & Highways Lead
GTA Canada at GFT Inc.
Phone: 416-669-5246
Email: cvoytenkov@gftinc.com
Collection of information
Any personal information submitted to the City of Oshawa as part of a response to this project is collected under the legal authority of the Municipal Act, 2001, S.O. 2001 c.25, as amended. This information will be used and maintained by the City of Oshawa to form a response to this project and review project-related feedback. Questions regarding this collection may be directed to the City’s Information Access and Privacy Officer, City of Oshawa, 50 Centre Street South, Oshawa, Ontario, L1H 3Z7, 905-436-3311.
Virtual tour of growth and development
The virtual tour of growth and development provides users the opportunity to track Oshawa's growth and investigate Oshawa's newest projects, whether just completed, under-construction, or in the pipeline.
Completed projects
Streetscape redevelopment King Street phase 4
The Streetscape Redevelopment for King Street phase four is now complete. The project involved the widening of the north sidewalk on King St. W. from McMillan Dr. to Centre St. as well as the replacement of concrete curbs and gutter, street lighting, traffic signals, street furniture, plantings, asphalt pavement and pavement markings. The project contributes to a culturally vibrant destination and increased opportunities for pedestrian traffic and outdoor dining areas in the downtown core.
For more information, please contact: Engineering Services at 905-436-3311 ext. 5606 or email engineering@oshawa.ca.

Get information from the source
Subscribe to City News and get the latest updates delivered to your inbox.